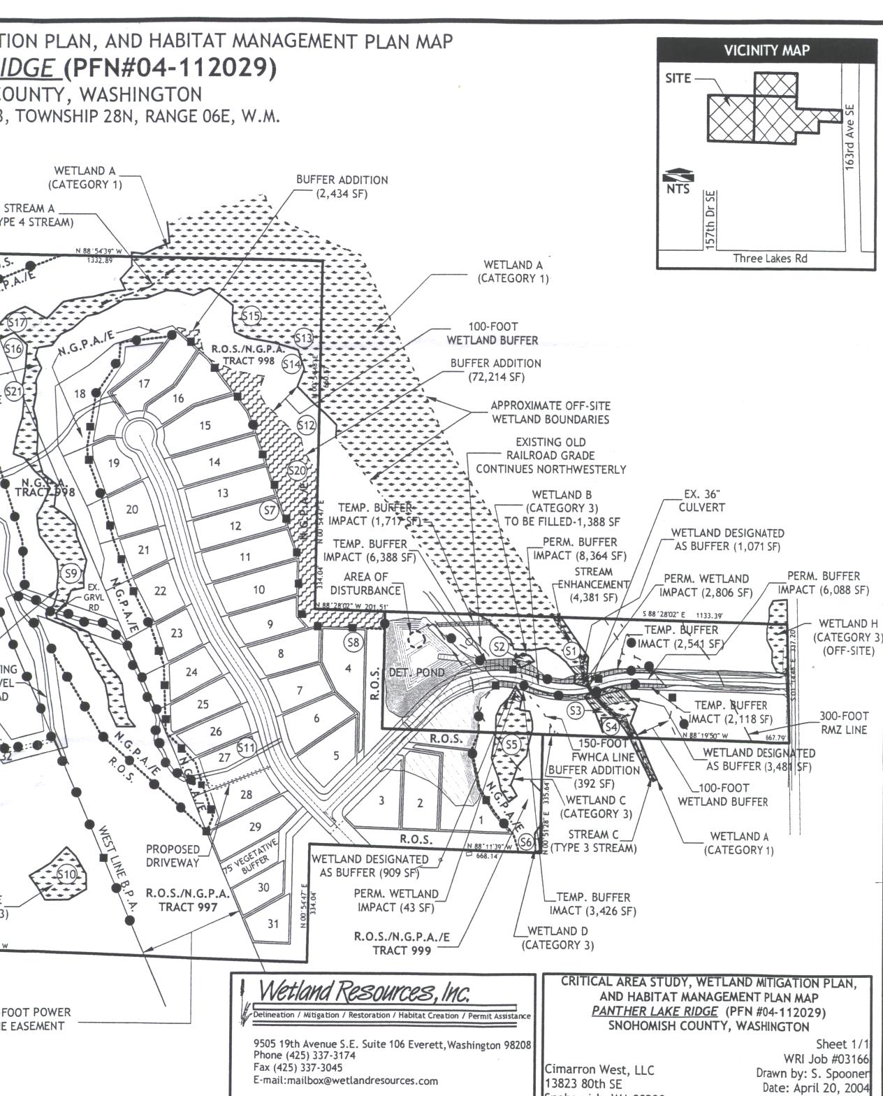
Panther Lake Ridge

Critical Area Study, Wetland Mitigation Plan, And Habitat Management Plan Map

Rev#2: August 23, 2004

Click on the pictures for enlarged versions: