Three Lakes Neighbors for Responsible Growth - 2005-06 Site

This is a new page and site containing data and information starting September 2005. | To see data from last year (2004-05) click here. | Return to Home Page

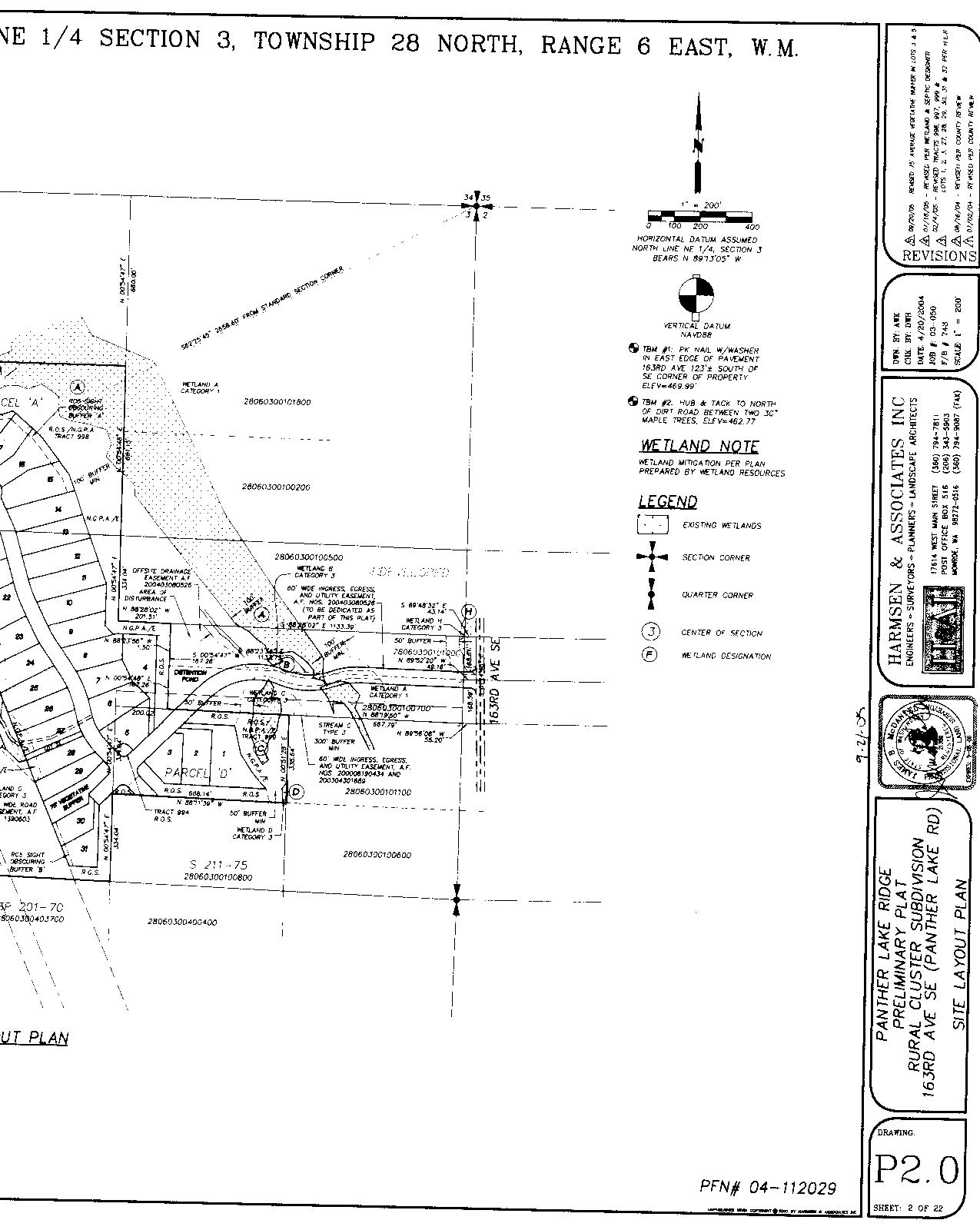
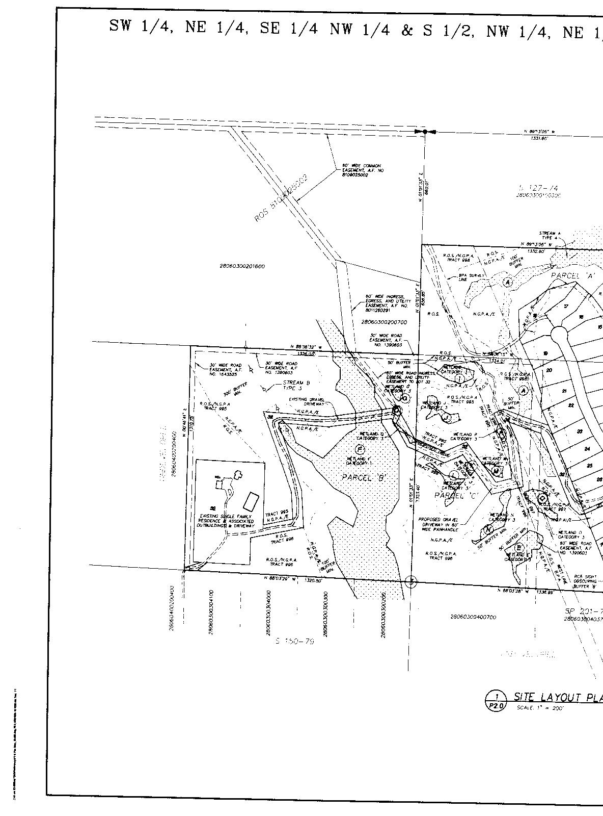
9-21-05 Submittal from Developers

Left Side Right Side  
Click on either thumbnail to blow it up to full size.

This is Sheet P2.0 Rev5.  Revised 75' average vegetative buffer in lots 3 & 5.

R4 was drawn 7/18/05.  Revised per wetland & Septic Designer.  That's where they expanded the area of the wetlands to attempt to reduce the amount of buildable land.

4/10/2006 Developers Response to Motion for Reconsideration

PDF File (too large for e-mail)

Summer 2006

We appealed the May 2006 Decision of the Hearing Examiner to the County Council, and the development has been remanded back to the Hearing Examiner for a new hearing that takes into account the buildability of all the land on the proposed development, including the Western portion.

A new hearing will be held on September 19, 2006 at 10:00 am in the First Floor Hearing Room, Administration Building East, 3000 Rockefeller Ave, Everett, WA.

This will be an Open Record hearing that means that you may submit comments on the matter via mail or to the PDS Project manager Paul.MacCready@co.snohomish.wa.us. Be sure to reference File Number: 04-112029-SD

The Developers have made some new submittals as follows:

8-31-06 Submittal from Developers

PDF File 1 Is a fax from their Septic Guy from Last February.

PDF File 2 includes some letters from landowners on the west side of the site setting forth their views on whether any houses should be placed on the western portion of the site.

PDF File 3 includes a letter stating their intent to call an Engineer from Bellingham, and also including a lot of poorly reproduced pictures of stuff they apparently plan to introduce as evidence.

9/11 Submittal from Developers

PDF File 4 is the 8/20/06 Report from their site Engineer which basically states that there is no other buildable land on the site. Bev has the color maps that went with it if anyone wants to see them.

9/12 Submittals from Developers

Doc File is a Statement from PDS that there is no new development proposed at present so they take no position.

PDF File 5 is another letter from a west side landowner opposing any development on the western portion of the property.

10/13/06 Hearing Examiner's Opinion

Doc file here is an MSWord version of the Hearing Examiner's Opinion allowing the development to proceed provided that there is a new plan submitted that provides more buffering. It doesn't seem to change much from the existing status quo.

By the time this is being posted almost everyone has probably received the printed document in the mail, but I'm posting it here in case someone not on the list wants to read it.  Check our blog for further comments.

10/23/06 Request for Consideration

This is the Request for Reconsideration that Bev wrote and submitted.

This is the Hearing Examiner's Response and Notice of Reconsideration.


This page last updated 11/13/2006.